Logo Météo Metz, météo expertisée et gratuite

Froid en Europe, chaleur en Afrique et cyclones en Océanie, l’actualité météo dans le monde à la mi-avril 2021

 

Anomalies de températures du vendredi 16 avril et phénomènes marquants de ces derniers jours dans le monde - ClimateReanalyzer - modifié par Météo-Villes

 

Europe :

 

L’Ouest de l’Europe est en proie à un temps particulièrement froid pour la saison avec un printemps ne voulant définitivement pas s’installer sur ces secteurs. Comme pour la France, de nombreux records de froid ont été observés la semaine dernière entre l’Italie, l’Allemagne, les Balkans, la Belgique ou encore la Grande-Bretagne.

 

Record régional mensuel de froid en Sardaigne le 7 avril dernier – Via SardegnaArpa

 

C’est en Italie que ce froid a engendré le plus de dégâts au niveau des cultures, notamment sur les vignobles et les arboricultures avec de lourdes pertes durant la période du 7 au 10 avril notamment.

 

Les arboriculteurs se protègent tant bien que mal des gelées à La Palazzetta (Toscane) le 8 avril dernier – Via Twitter : @inquirerdotnet

 

Si le froid est moins vif ces derniers jours, les conditions hivernales restent présentes près du massif des Alpes avec de fortes chutes de neige observées ces dernières 48h dans le piémont dès basse altitude. Des cumuls de plus de 20 à 30cm ont pu être relevés en moins de 24h avec des flocons tenant au sol dès 600-700m durant la nuit du 15 au 16 avril 2021.

 

Neige abondante à Salza di Pinerolo (Piémont) ce 16 avril 2021 – Via Centro Meteo Piemonte CMP

 

La neige s’est également montrée abondante de façon très inhabituelle pour la période sur le Centre de l’Europe avec par exemple plus de 20cm à 530m d’altitude sur la commune de Modra-Piesok ce 14 avril, les flocons ont même tenu jusqu’en plaine sur certains secteurs.

 

Importantes chutes de neige à Modra-Piesok à la mi-avril – Photographie : Peter Buday

 

En marge de ce froid, c’est à l’inverse la douceur qui s’accentue sur le Nord et l’Est du continent avec des conditions estivales régnant depuis la mi-avril sur le Sud-Ouest de la Russie. Le flux de Sud-Est présent sur ces secteurs apporte en effet des températures très supérieures aux valeurs de saison avec parfois plus de 25 voire 30°C en cette fin de semaine.

 

Températures relevées ce vendredi 16 avril sur l’Europe – Météociel.fr

 

Ces températures élevées se propagent d’ailleurs jusqu’à la Finlande avec parfois plus de 15°C ce week-end sur le Sud du pays, des températures situées là aussi bien-au-dessus des normales de la saison.

 

 

Sur l’Islande, le volcan Fagradalsfjall est toujours en éruption et continue de déverser de grandes quantités de lave sur ces flancs, offrant de magnifiques images aux photographes.

 

Eruption du Fagradalsfjall le 9 avril dernier - Photographie via twitter : @brianemfinger

 

 

Amérique :

 

L’extrême Est du Canada et l’Alaska ont subi entre le 8 et le 11 avril une période de froid tardif exceptionnelle avec de nombreux records mensuels battus. Les températures sont en effet descendues jusqu’à -38.9°C à Bettles (Alaska) le 9 avril, soit un nouveau record mensuel pour cette station, battant les -38.3°C du 7 avril 1986. Un radiosondage effectué ce jour même a également relevé la masse d’air la plus froide jamais observée en avril pour ce secteur.

 

Au Yukon, c’est le 11 avril que le froid s’est montré le plus extrême avec jusqu’à -40.2°C à Old Crow (nouveau record mensuel), -36.9°C à Beaver Creek (nouveau record mensuel). Le record régional pour un mois d’avril n’a cependant pas été battu (-46.5°C à Snag en avril 1944).

 

Anomalies de températures sur l’Amérique du Nord le 11 avril dernier – CFS

 


Plus au Sud, ce sont à nouveau les orages qui font l’actualité, notamment sur le Sud des Etats-Unis. Après plusieurs épisodes tornadiques exceptionnellement actifs à la fin du mois de mars, l’instabilité reste importante près du Golfe du Mexique avec une succession d’épisodes orageux parfois intenses, notamment entre le Texas et la Floride.

 



Grêlons géants près de Orange Beach (Alabama) le 9 avril dernier – James Spann

 

Dégâts suite au passage d’une tornade à Palmetto (Louisianne) le 10 avril dernier – Weather Nation

 

Cette instabilité est cependant tout à fait normale sur ces régions à cette période de l’année, les masses d’air chaudes remontant du Golfe du Mexique entrant en contact avec des descentes froides venues des montagnes rocheuses. Pour rappel, c’est durant le mois de mai que l’activité orageuse et tornadique est la plus intense sur le Sud des Etats-Unis.

 

Aux Antilles, la Soufrière de Saint-Vincent est entrée en éruption le 9 avril dernier et continue d’alterner entre phases explosives et plus calmes depuis. Ce volcan avait subi sa dernière éruption majeure il y a plus de 300 ans, en 1718.

 

Impressionnante photographie de la première éruption de la Soufrière de Saint-Vincent le 9 avril dernier – Photographie via twitter : @jheronc

 

Si les villages les plus menacés ont déjà été évacués bien avant l’éruption, les retombées de cendres sont particulièrement importantes sur la région avec parfois plusieurs dizaines de centimètres de matériel éruptif.

Outre des conséquences importantes aux alentours du volcan, les cendres s’étendent également aux îles limitrophes, les puissants vents d’Ouest poussant le panache vers l’Atlantique et la Barbade. Ce panache ne menace pas pour le moment les Antilles françaises.

 

Image satellite montrant l’étendue du panache de cendre de la Soufrière ce 15 avril – Via Météo-France

 

 

Afrique :

 

La chaleur s’accentue sur le Sud du continent et devient même exceptionnelle en Afrique-du-Sud. Ce 13 avril, un nouveau record mensuel de chaleur a été établi pour le pays avec jusqu’à 44.8°C à Vioolsdrif, battant le précèdent record de 43.7°C du 05/04/2003 sur cette même station.

 

Températures maximales relevées le 13 avril 2021 en Afrique-du-Sud – Via twitter - @EKmeteo


Cette température est la plus chaude jamais relevée après un 10 avril dans l’hémisphère Sud, à 0.2°C du record sud-hémisphérique pour un mois d’avril (45°C en Australie).

 

De nombreuses autres stations ont également battu leur record mensuel pour ce jour comme à Vrendendal avec 42.7°C (battant l’ancien record de 42.2°C en 2010) ou encore Alexander Bay avec 41.6°C (battant l’ancien record de 41.3°C en 2006).

 

 

Plus au nord, la chaleur fut également très marquée au Sénégal le 12 avril dernier avec jusqu’à 47.0°C à Matam, à 1°C du record national d’avril. Cette valeur marque également les premiers 47°C de 2021 dans l’hémisphère Nord.

 

Températures maximales relevées le 12 avril 2021 au Sénégal – Via twitter - @EKmeteo

 

 

Asie :

 

Pékin et les régions alentours ont subi leur troisième tempête de sable majeure en 5 semaines ce jeudi, faisant chuter grandement la qualité de l’air dans la capitale chinoise. Celle-ci fut causée par des vents forts soufflant de Mongolie et par la sécheresse persistante frappant ces régions.

 

Nouvelle tempête de sable ce jeudi 15 avril 2021 à Pékin – AFP

 


En conséquence, les niveaux de polluants PM10, pouvant pénétrer les poumons, ont atteint 999 microgrammes par mètre cube, soit quasiment deux fois plus que le stade considéré comme dangereux pour la santé. Ces larges quantités de sable devraient progressivement s’évacuer vers l’Est dans les prochains jours.

 

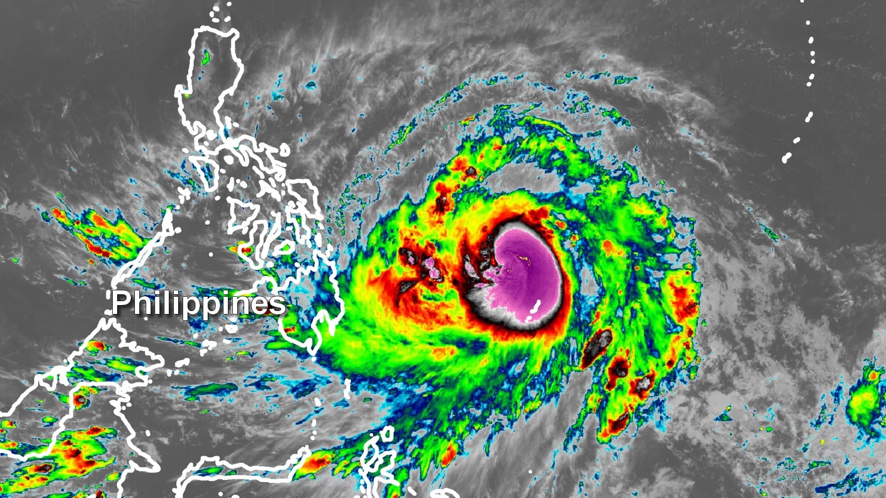
Plus au Sud, le premier typhon de l’année 2021 s’est formé à l’Ouest des Philippines ces derniers heures. Nommé Sirugae, celui-ci devrait se renforcer dans les prochains jours mais sa trajectoire reste encore indécise, pouvant s’orienter vers le Nord-Est et rester en haute-mer ou toucher le Nord du territoire.

 

Image satellite du typhon Surigae ce 16 avril 2021 – Via iCyclone

 

Océanie :

 

L’activité tropicale est forte depuis le début du mois d’avril sur le Nord-Ouest de l’Australie en raison d’eaux anormalement chaudes sur la zone. Le 11 avril dernier, le cyclone Seroja est entré dans les terres de l’Ouest du pays en catégorie 3, apportant de très importantes quantités de précipitations et de violentes rafales de vent.

 

Entrée dans les terres du puissant cyclone Seroja le 11 avril dernier – RAMMB

 

Il est rare pour un tel système de frapper des régions aussi méridionales de l’Australie, notamment avec une telle intensité. Ce système a en effet traversé tout le Sud-Ouest de l’Australie avant d’évoluer en simple tempête en abordant les eaux plus froides du Sud du pays.


C’est notamment les régions de Geraldton et Kalbarri qui furent les plus durement touchées avec des vents soufflant jusqu’à 170km/h (record) causant d’importants dégâts ainsi que des précipitations diluviennes, atteignant 166.8mm à Kalbarri.

 

Nombreux dégâts à Kalbarri suite au passage de Seroja le 11 avril dernier – Via farmweekly.au

 

Ce cyclone fut le plus violent a avoir touché ces régions depuis 1956 durant lequel les rafales avaient atteint 140km/h. Bien heureusement, aucune victime n’est à déplorer suite au passage de la tempête.

 

 

Photo de Guillaume SECHETHistoire du site Météo Metz

Froid en Europe, chaleur en Afrique et cyclones en Océanie, l’actualité météo dans le monde à la mi-avril 2021 16/04/2021